Tin đăng đã hết hạn.

Bấm tiếp tục xem tin để hiển thị, hoặc tìm kiếm tin đăng tương tự mới nhất dành cho bạn!

Đất Đẹp - Giá Tốt - Chính Chủ Cần Bán Lô Đất Vị Trí Đẹp tại huyện Lộc Ninh, tỉnh Bình Phước

Ngày đăng: 11/04/2025

5
Trung bình
ảnh
ảnh
ảnh
ảnh
ảnh
1/5
ảnh
ảnh
ảnh
ảnh
ảnh
Mô tả tin đăng

Đất Đẹp - Giá Tốt - Chính Chủ Cần Bán Lô Đất Vị Trí Đẹp tại huyện Lộc Ninh, tỉnh Bình Phước
Địa chỉ: ấp Thắng Lợi, xã Lộc Phú, huyện Lộc Ninh, tỉnh Bình Phước
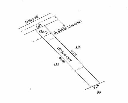
Diện tích: 205m2 (5x41m), có 100m thổ cư
Giá bán: 590 triệu
- Vị trí: gần DT 756 ấp Thắng Lợi
- Tiện ích xung quanh đầy đủ : gần chợ, trường học, ngân hàng, khu công nghiệp...
- Phù hợp định cư lâu dài. Đầu tư sinh lời cao
- Khu dân cư đông, thân thiện, an ninh đảm bảo.
- Pháp lý: sổ hồng riêng, thủ tục nhanh chóng, Ngân hàng hỗ trợ vay đến 70%
Tiềm năng lớn: Đất luôn tăng giá theo tình hình chung của BĐS, đảm bảo sinh lời

Xem thêm

Liên hệ:

090 438 ****
Thông tin chi tiết
Mặt tiền 5m

Vị trí bản đồ

590 triệu

205 m²
2,88 triệu/m²
Thông tin của bất động sản
Giấy CN QSDĐ - Sổ đỏ - Sổ hồng
Loại BĐS
Đất
Địa chỉ
Phố thương mại Phúc Lộc - Cát Tường Phú Nguyên Residence, H. Đức Hòa, T. Long An
nh

nguyễn văn hùng

Môi giới

Tiếp tục xem tin
* Lưu ý: Bài viết Đất Đẹp - Giá Tốt - Chính Chủ Cần Bán Lô Đất Vị Trí Đẹp tại huyện Lộc Ninh, tỉnh Bình Phước - là do người đăng tin đăng tải và chịu trách nhiệm. Meeyland.com không đảm bảo và không chịu trách nhiệm về bất kỳ thông tin, nội dung nào liên quan tới tin rao này. Trường hợp phát hiện nội dung tin đăng không chính xác, Quý vị hãy thông báo và cung cấp thông tin cho Ban quản trị Meeyland.com theo số Hotline 0869092929 để được hỗ trợ nhanh chóng và kịp thời nhất.