Cần bán lô đất tại Trung Chánh, Hóc Môn, Thành phố Hồ Chí Minh

Ngày đăng: 02/04/2026

7
Khá
ảnh
ảnh
ảnh
ảnh
1/2
ảnh
ảnh
Mô tả tin đăng
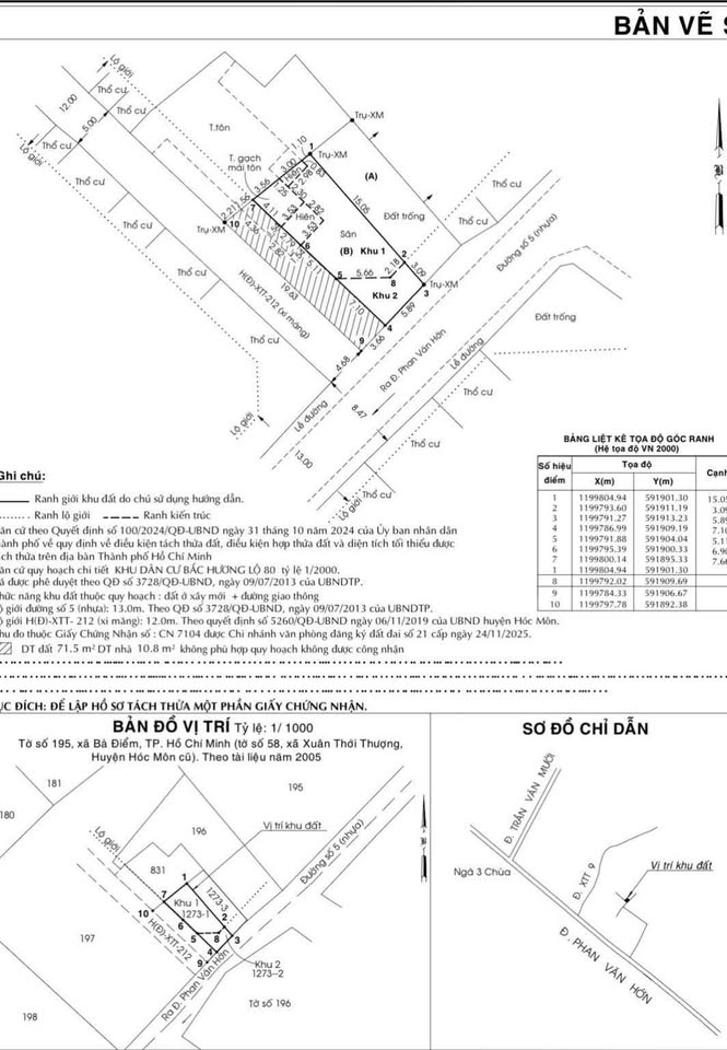
Cần bán lô đất tại Trung Chánh, Hóc Môn, Thành phố Hồ Chí Minh.
Diện tích đất: 155.8m2 với kích thước 12m x 13m.
Pháp lý: Sổ hồng riêng.
Giá bán: 6.2 tỷ.
Liên hệ: 0972465372.
Xem thêm

Liên hệ:

097 246 ****
Thông tin chi tiết
Mặt tiền 12m
Chiều sâu 13m
Mức độ giao dịch Càng sớm càng tốt
Ưu điểm BĐS Dân trí cao

Vị trí bản đồ

* Lưu ý: Bài viết Cần bán lô đất tại Trung Chánh, Hóc Môn, Thành phố Hồ Chí Minh - là do người đăng tin đăng tải và chịu trách nhiệm. Meeyland.com không đảm bảo và không chịu trách nhiệm về bất kỳ thông tin, nội dung nào liên quan tới tin rao này. Trường hợp phát hiện nội dung tin đăng không chính xác, Quý vị hãy thông báo và cung cấp thông tin cho Ban quản trị Meeyland.com theo số Hotline 0869092929 để được hỗ trợ nhanh chóng và kịp thời nhất.