Đất vàng Võ Duy Ninh - Lộc phát an cư, hướng Đông Nam mát mẻ

Ngày đăng: 02/02/2026

7.5
Khá
ảnh
ảnh
ảnh
ảnh
ảnh
ảnh
ảnh
ảnh
ảnh
ảnh
1/5
ảnh
ảnh
ảnh
ảnh
ảnh
Mô tả tin đăng
Chào mừng quý khách đến với chốn an cư lý tưởng tại kiệt ô tô Võ Duy Ninh, chỉ cách trục đường chính 50m, nơi giao thoa của sự thuận tiện và thịnh vượng.
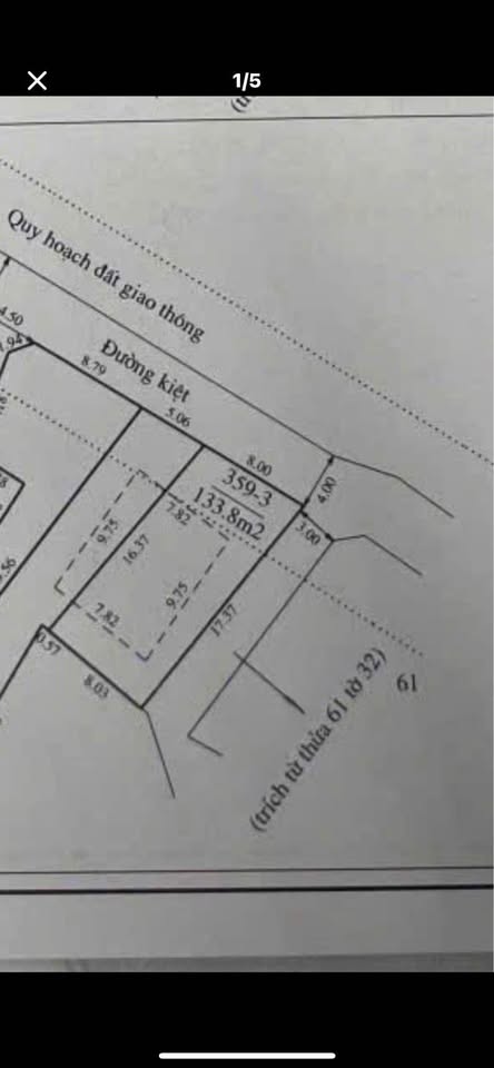
Với diện tích 94m2, bề ngang lý tưởng 5.2m, mảnh đất sở hữu hướng Đông Nam mát lành, đón trọn vượng khí.
Đường bê tông rộng 5m, xe ô tô ra vào dễ dàng, thuận tiện cho mọi sinh hoạt.
Vị trí đắc địa, liền kề trường Tiểu học Thủy Dương, khu quy hoạch Vịnh Mộc, khu dân cư đông đúc, sầm uất.
Gần kề Nhà máy dệt Thủy Dương, khu vực cao ráo, không lo ngập lụt, mang đến cuộc sống an lành.
Giá bán chỉ 1,6xx tỷ, một cơ hội đầu tư sinh lời hoặc an cư lạc nghiệp không thể bỏ lỡ, có thương lượng.
Liên hệ ngay 0941350511 để không bỏ lỡ tuyệt tác này.
Xem thêm

Liên hệ:

094 135 ****
Thông tin chi tiết
Mặt tiền 5,2m
Chiều sâu 18,08m
Mức độ giao dịch Càng sớm càng tốt
Ưu điểm BĐS Giao thông thuận lợi

Vị trí bản đồ

* Lưu ý: Bài viết Đất vàng Võ Duy Ninh - Lộc phát an cư, hướng Đông Nam mát mẻ - là do người đăng tin đăng tải và chịu trách nhiệm. Meeyland.com không đảm bảo và không chịu trách nhiệm về bất kỳ thông tin, nội dung nào liên quan tới tin rao này. Trường hợp phát hiện nội dung tin đăng không chính xác, Quý vị hãy thông báo và cung cấp thông tin cho Ban quản trị Meeyland.com theo số Hotline 0869092929 để được hỗ trợ nhanh chóng và kịp thời nhất.