Bán lô đất tại thôn Thuận Lợi, Ninh Hà (cũ), 2 mặt tiền, gần trường học, gần chợ

Ngày đăng: 19/03/2026

5.4
Trung bình
ảnh
ảnh
ảnh
ảnh
ảnh
ảnh
1/3
ảnh
ảnh
ảnh
Mô tả tin đăng
Bán lô đất tại thôn Thuận Lợi, Ninh Hà (cũ), 2 mặt tiền, gần trường học, gần chợ
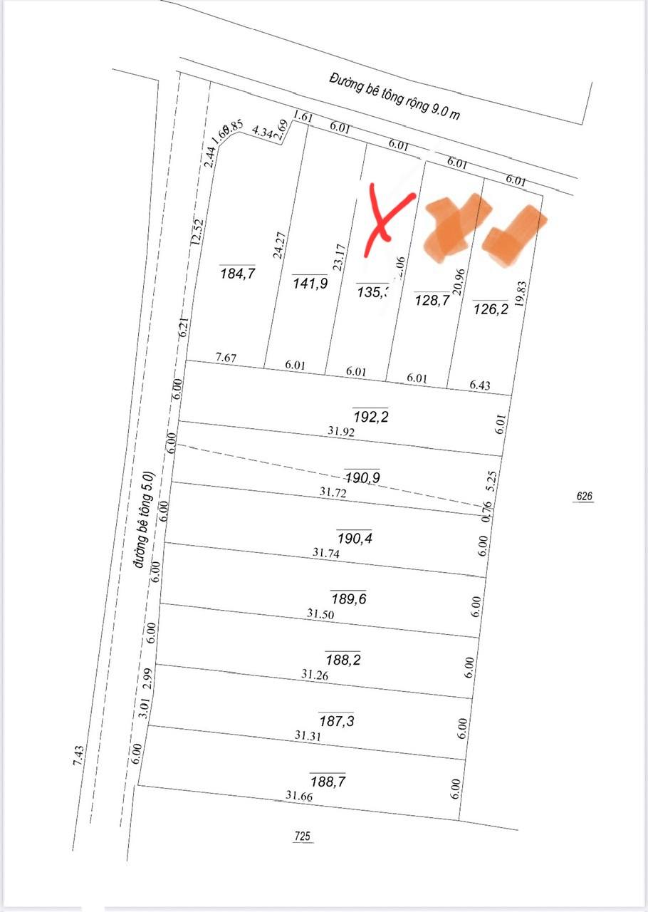
Đường bê tông rộng 9m, còn mở rộng thêm 2m.
Diện tích: 184,7 m2.
Giá: 6,x triệu /m2
Liên hệ: 0775569799.
Xem thêm

Liên hệ:

077 556 ****
Thông tin chi tiết
Ưu điểm BĐS Gần nhiều tiện ích

Vị trí bản đồ

* Lưu ý: Bài viết Bán lô đất tại thôn Thuận Lợi, Ninh Hà (cũ), 2 mặt tiền, gần trường học, gần chợ - là do người đăng tin đăng tải và chịu trách nhiệm. Meeyland.com không đảm bảo và không chịu trách nhiệm về bất kỳ thông tin, nội dung nào liên quan tới tin rao này. Trường hợp phát hiện nội dung tin đăng không chính xác, Quý vị hãy thông báo và cung cấp thông tin cho Ban quản trị Meeyland.com theo số Hotline 0869092929 để được hỗ trợ nhanh chóng và kịp thời nhất.