Tin đăng đã hết hạn.

Bấm tiếp tục xem tin để hiển thị, hoặc tìm kiếm tin đăng tương tự mới nhất dành cho bạn!

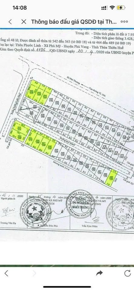
Bán đất 156m2 khu quy hoạch Phước Linh, Phú Mỹ, Phú Vang, giá tốt

Ngày đăng: 13/06/2025

6.9
Khá
ảnh
ảnh
ảnh
ảnh
ảnh
ảnh
ảnh
ảnh
ảnh
ảnh
1/5
ảnh
ảnh
ảnh
ảnh
ảnh
Mô tả tin đăng
Bán đất diện tích 156m2 tại khu quy hoạch Phước Linh, xã Phú Mỹ, huyện Phú Vang, Thừa Thiên Huế. Vị trí khu vực đông dân cư, gần chợ, trường học, cách UBND xã Phú Mỹ 500m. Đất có kích thước ngang 8m, đường rộng 9m, hướng Đông Nam. Giá bán 13.xx triệu/m2. Liên hệ 0328300490 để biết thêm chi tiết.
Xem thêm

Liên hệ:

032 830 ****
Thông tin chi tiết
Mặt tiền 8m
Chiều sâu 19,5m
Ưu điểm BĐS Dân trí cao, Giao thông thuận lợi, Gần nhiều tiện ích

Vị trí bản đồ

Tiếp tục xem tin
* Lưu ý: Bài viết Bán đất 156m2 khu quy hoạch Phước Linh, Phú Mỹ, Phú Vang, giá tốt - là do người đăng tin đăng tải và chịu trách nhiệm. Meeyland.com không đảm bảo và không chịu trách nhiệm về bất kỳ thông tin, nội dung nào liên quan tới tin rao này. Trường hợp phát hiện nội dung tin đăng không chính xác, Quý vị hãy thông báo và cung cấp thông tin cho Ban quản trị Meeyland.com theo số Hotline 0869092929 để được hỗ trợ nhanh chóng và kịp thời nhất.