Tin đăng đã hết hạn.

Bấm tiếp tục xem tin để hiển thị, hoặc tìm kiếm tin đăng tương tự mới nhất dành cho bạn!

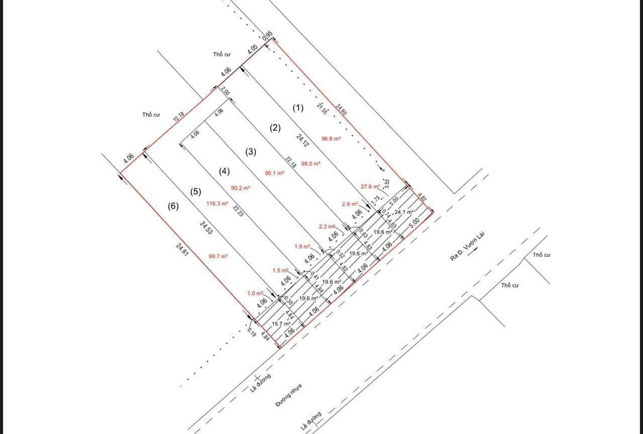
Bán đất tại Nguyễn Thị Nhuần, 8 tỷ, 121.8 m2, pháp lý đầy đủ

Ngày đăng: 30/04/2025

4.2
Cơ bản
ảnh
ảnh
ảnh
1/3
ảnh
ảnh
ảnh
Mô tả tin đăng

Đất nền tại Nguyễn Thị Nhuần, p An Phú Đông, Q12, HCM với diện tích 121.8 m2, giá 8 tỷ VND.
(Lô số 2)
- Diện tích rộng rãi 121.8 m2, thích hợp xây dựng nhà ở hoặc đầu tư.
- Pháp lý đầy đủ, đảm bảo an toàn cho giao dịch.
- Vị trí dễ dàng di chuyển đến các khu vực lân cận.
Điểm đặc sắc: Khu vực yên tĩnh, phù hợp cho gia đình sinh sống. Đất có tiềm năng phát triển cao khi khu vực đang phát triển mạnh mẽ.
Gần các tiện ích như công viên Thanh Niên, trường tiểu học Phạm Văn Chiêu, và các siêu thị Bách Hóa Xanh, tạo điều kiện thuận lợi cho sinh hoạt hàng ngày.
Liên hệ để biết thêm thông tin chi tiết: Phuc Nguyen - 0966026214.

Xem thêm

Liên hệ:

096 602 ****

Vị trí bản đồ

Tiếp tục xem tin
* Lưu ý: Bài viết Bán đất tại Nguyễn Thị Nhuần, 8 tỷ, 121.8 m2, pháp lý đầy đủ - là do người đăng tin đăng tải và chịu trách nhiệm. Meeyland.com không đảm bảo và không chịu trách nhiệm về bất kỳ thông tin, nội dung nào liên quan tới tin rao này. Trường hợp phát hiện nội dung tin đăng không chính xác, Quý vị hãy thông báo và cung cấp thông tin cho Ban quản trị Meeyland.com theo số Hotline 0869092929 để được hỗ trợ nhanh chóng và kịp thời nhất.