Tin đăng đã hết hạn.

Bấm tiếp tục xem tin để hiển thị, hoặc tìm kiếm tin đăng tương tự mới nhất dành cho bạn!

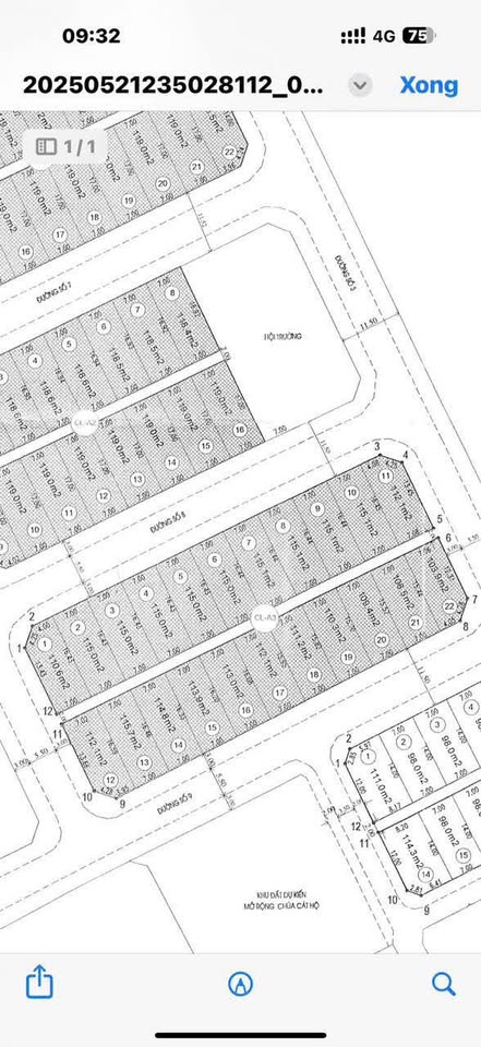
Bán đất Đông Thọ, Trà Lý, Thái Bình, vị trí trung tâm, gần ủy ban, trường học, diện tích 115m2, giá từ 1.1 tỷ

Ngày đăng: 13/06/2025

6.4
Trung bình
ảnh
ảnh
1/1
Mô tả tin đăng
Lô đất tại Đông Thọ, phường Trà Lý, thành phố Thái Bình đang thu hút sự quan tâm lớn từ khách hàng.
Vị trí trung tâm của xã, ngay cạnh ủy ban và trường học, mang đến sự tiện lợi và tiềm năng phát triển.
Diện tích lô đất là 115m2, mặt tiền 6m, rất phù hợp để xây dựng nhà ở hoặc đầu tư.
Giá bán chỉ từ 1.1 tỷ đồng.
Liên hệ ngay 0372883682 để biết thêm thông tin chi tiết và cơ hội đầu tư hấp dẫn.
Xem thêm

Liên hệ:

037 288 ****
Thông tin chi tiết
Mặt tiền 6m
Chiều sâu 19,17m
Ưu điểm BĐS Vị trí trung tâm, Gần nhiều tiện ích

Vị trí bản đồ

Tiếp tục xem tin
* Lưu ý: Bài viết Bán đất Đông Thọ, Trà Lý, Thái Bình, vị trí trung tâm, gần ủy ban, trường học, diện tích 115m2, giá từ 1.1 tỷ - là do người đăng tin đăng tải và chịu trách nhiệm. Meeyland.com không đảm bảo và không chịu trách nhiệm về bất kỳ thông tin, nội dung nào liên quan tới tin rao này. Trường hợp phát hiện nội dung tin đăng không chính xác, Quý vị hãy thông báo và cung cấp thông tin cho Ban quản trị Meeyland.com theo số Hotline 0869092929 để được hỗ trợ nhanh chóng và kịp thời nhất.