Tin đăng đã hết hạn.

Bấm tiếp tục xem tin để hiển thị, hoặc tìm kiếm tin đăng tương tự mới nhất dành cho bạn!

Mặt tiền kinh doanh - giáp Lê Quang Định, Phan Văn Trị - 60m2 - 8.8 tỷ

Ngày đăng: 02/05/2025

5.4
Trung bình
ảnh
ảnh
ảnh
ảnh
ảnh
ảnh
ảnh
1/7
ảnh
ảnh
ảnh
ảnh
ảnh
ảnh
ảnh
Mô tả tin đăng

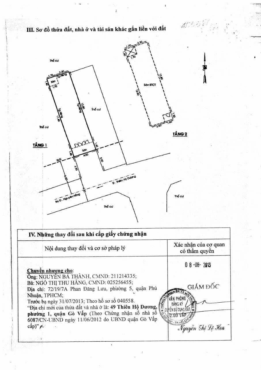
Nhà mặt tiền kinh doanh - Nguyên Hồng, Lê Quang Định, Phan Văn Trị - 8.8 tỷ.
- Diện tích: Ngang 4m, dài 14,3m (57m2 chưa tính sân).
- Kết cấu: 1 trệt, 1 lầu đúc, Đang kinh doanh Spa.
- Đường 2 xe hơi tránh, thông Nguyên Hồng, Lê Quang Định, Phan Văn Trị, Phạm Văn Đồng...
LH Em Châu xem nhà 24/7 (Nhà thật, Tin thật, Giá chính chủ) ki.

Xem thêm

Liên hệ:

086 697 ****
Thông tin chi tiết
Mặt tiền 4m
Hướng ban công Nam
Ưu điểm BĐS Kinh doanh được

Vị trí bản đồ

Tiếp tục xem tin
* Lưu ý: Bài viết Mặt tiền kinh doanh - giáp Lê Quang Định, Phan Văn Trị - 60m2 - 8.8 tỷ - là do người đăng tin đăng tải và chịu trách nhiệm. Meeyland.com không đảm bảo và không chịu trách nhiệm về bất kỳ thông tin, nội dung nào liên quan tới tin rao này. Trường hợp phát hiện nội dung tin đăng không chính xác, Quý vị hãy thông báo và cung cấp thông tin cho Ban quản trị Meeyland.com theo số Hotline 0869092929 để được hỗ trợ nhanh chóng và kịp thời nhất.