Nhà trống ở ngay - dtcn 46,4m2 - 2 tầng - đs14 gò vấp - cách mặt tiền đường số 21 100m - 4.7tỷ (tl)

Ngày đăng: 19/03/2026

5
Cơ bản
ảnh
ảnh
ảnh
ảnh
ảnh
ảnh
ảnh
ảnh
ảnh
1/9
ảnh
ảnh
ảnh
ảnh
ảnh
ảnh
ảnh
ảnh
ảnh
Mô tả tin đăng

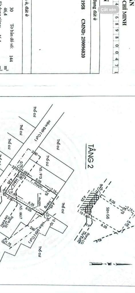
NHÀ TRỐNG Ở NGAY - DTCN 46,4M2 - 2 TẦNG - ĐS14 GÒ VẤP CÁCH MẶT TIỀN ĐƯỜNG SỐ 21 100m - 4.7TỶ (TL) Dt : 4.7*10 - dtcn : 46,4m2.Pháp lý shr chính chủ, hoàn công đủ - công chứng ngay! Kết cấu : trệt lầu BTCT , 2pn, 2toilet - nhà trống ở ngay - cách hxt chỉ 30m - cách mt đường số 21 chưa đầy 100m.(TK86.34.26) Vị trí : thông Quang Trung - tiện di chuyển về Q12 , Gò Vấp , Tân Bình ,qua sân bay 15 phút.

Xem thêm

Liên hệ:

090 245 ****
Thông tin chi tiết
Mặt tiền 4,7m

Vị trí bản đồ

* Lưu ý: Bài viết Nhà trống ở ngay - dtcn 46,4m2 - 2 tầng - đs14 gò vấp - cách mặt tiền đường số 21 100m - 4.7tỷ (tl) - là do người đăng tin đăng tải và chịu trách nhiệm. Meeyland.com không đảm bảo và không chịu trách nhiệm về bất kỳ thông tin, nội dung nào liên quan tới tin rao này. Trường hợp phát hiện nội dung tin đăng không chính xác, Quý vị hãy thông báo và cung cấp thông tin cho Ban quản trị Meeyland.com theo số Hotline 0869092929 để được hỗ trợ nhanh chóng và kịp thời nhất.