Tin đăng đã hết hạn.

Bấm tiếp tục xem tin để hiển thị, hoặc tìm kiếm tin đăng tương tự mới nhất dành cho bạn!

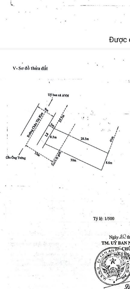
Bán nhà cấp 4 mặt tiền đường Châu Thị Kim, thành phố Tân An, Long An, diện tích 249m2, giá 3,7 tỷ

Ngày đăng: 13/06/2025

5.8
Trung bình
ảnh
ảnh
ảnh
ảnh
ảnh
ảnh
ảnh
ảnh
ảnh
ảnh
1/5
ảnh
ảnh
ảnh
ảnh
ảnh
Mô tả tin đăng
Bán căn nhà cấp 4 mặt tiền đường Châu Thị Kim, xã An Vĩnh Ngãi, thành phố Tân An, Long An.
Nhà cấp 4 trên toàn bộ diện tích đất, cách đường Vành Đai 150m. Khu dân cư đông đúc, thích hợp để buôn bán hoặc làm kho bãi.
Diện tích đất là 8,5m x 30m (cạnh 28m), tổng diện tích 249m2.
Giá bán 3,7 tỷ, có thể thương lượng.
Liên hệ: 0906628648 để biết thêm chi tiết.
Xem thêm

Liên hệ:

090 662 ****
Thông tin chi tiết
Mặt tiền 8,5m
Chiều sâu 29,29m
Ưu điểm BĐS Kinh doanh được

Vị trí bản đồ

Tiếp tục xem tin
* Lưu ý: Bài viết Bán nhà cấp 4 mặt tiền đường Châu Thị Kim, thành phố Tân An, Long An, diện tích 249m2, giá 3,7 tỷ - là do người đăng tin đăng tải và chịu trách nhiệm. Meeyland.com không đảm bảo và không chịu trách nhiệm về bất kỳ thông tin, nội dung nào liên quan tới tin rao này. Trường hợp phát hiện nội dung tin đăng không chính xác, Quý vị hãy thông báo và cung cấp thông tin cho Ban quản trị Meeyland.com theo số Hotline 0869092929 để được hỗ trợ nhanh chóng và kịp thời nhất.